• Home
  • M
  • About
  • M
  • Portfolio
    • Projects of Distinction
    • Civic
    • Institutional
    • Multi-unIt Residential
    • Industrial
    • Commercial
    • Custom Home
    • Residential Add. / Reno.
  • M
  • Contact
  • M

What our architects can do for you

Our Architects, Interior Designers, dedicated Staff, and Consultants offer your project professional attention, creating imaginative, vision-directed design solutions to meet your project requirements. Architectural services include design, preparation of construction documents & construction administration.

We provide a wide variety of complementary services, including:

project management / feasibility studies / site selection / building condition audits / programming / sustainable design + LEED® Coordination / interior design / renderings, 3D models + promotional materials / full time site representation / multiple contract preparation

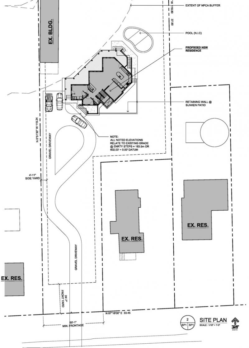
Sumbler Road Residence

This home was designed around a young family's busy life-style and a complicated site/property. The design requirements of the Owner's was to have a 2-storey house that did not seem tall, low eaves, and had four-bedrooms all on the second floor. The site included the original house, severed from the larger property, and a significant portion of land that was a protected habitat, so the new house design had to accommodate a number of  constraints. The "stick-framed" 14/12 sloped roof helped increase the usable second floor area required for the bedrooms, and the stair location provided southerly natural light to enter in the middle of the house on all floors.

« Go Back

    Portfolio
    • Projects of Distinction
    • Civic
    • Institutional
    • Multi-unIt Residential
    • Industrial
    • Commercial
    • Custom Home
    • Residential Add. / Reno.

Designing to save you time & money!

We provide proper project planning, suggest numerous design considerations, material selections, and durable detailing to all of our Clients. If there are changes to the scope of the project they are more easily done while on paper than on the job site. We often provide 3D modelling as a tool to clearly communicate with our Clients throughout the design process. Our final design drawings and project specifications capture the full scope of a project and provides the opportunity for competitive tendering to qualified Contractors. 

  • You can't love what you can't see...
  • Contractors can't quote what they can't see...
  • We'll show you what's possible!
  • Learn More
  • MZE/architecture+design inc.

    96 Church St, St. Catharines, ON L2R 3C8
    905-685-8467

    • F
    • i
    EMAIL US

© 2026 MZE/architecture + design inc.